Grande cave

Monaco - La Rousse - Saint Roman
Surface: 8.00 m²

Description

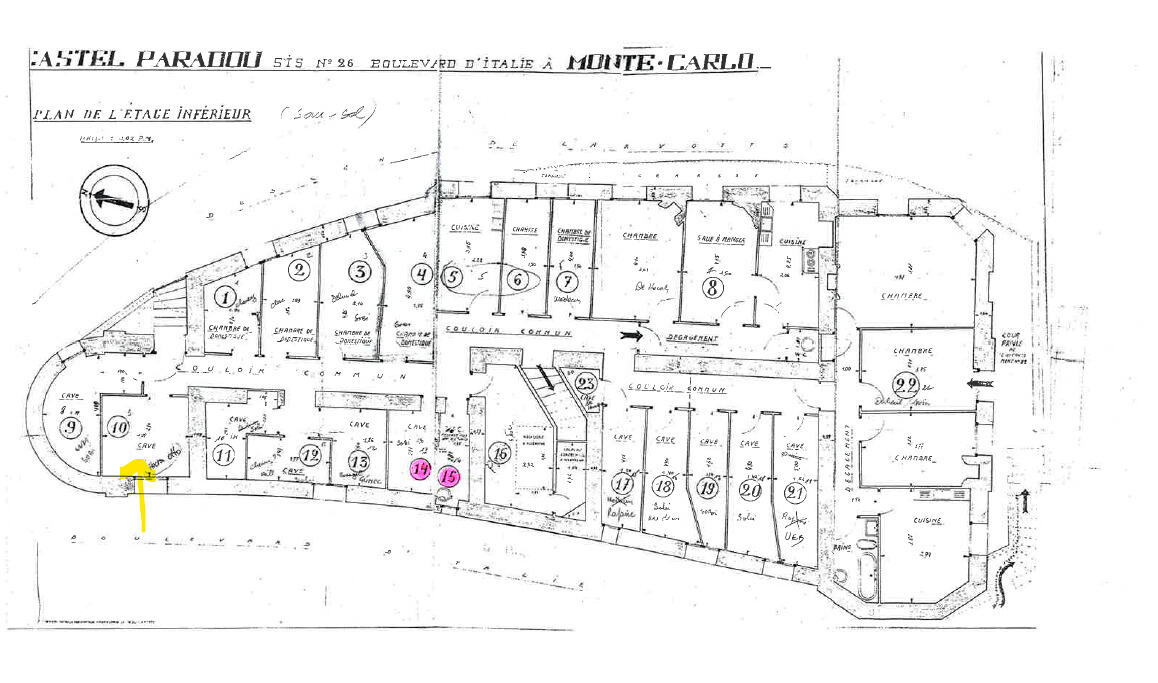
La cave matérialisée sur les plans ci-dessous est d’une superficie d’environ 8m². Elle bénéficie d’un éclairage naturel par une petite fenêtre en hauteur.

L’accès est indépendant : il peut se faire par les parties communes ainsi que par l’extérieur du bâtiment, directement depuis la rue.

Le règlement de copropriété n’impose aucune contrainte de stockage dans la cave, en dehors de l’interdiction des substances dangereuses.

Dimensions : 2,70 m * 2,95 m * 3,10 m (env. 24 m3)

Details

  • Reference:
    YC - CAVE Castel Paradaou
  • Superficie totale:
    8.00 m²
  • Surface habitable:
    8.00 m²
  • Nb. pièces:
  • Prix:
    170000 €
  • Type:
    Vente

Location

Monaco - La Rousse - Saint Roman

Compare Properties

Compare (0)
Prendre contact
Bienvenue sur le site de l'agence immobilière AIBB Monaco. Comment pouvons-nous vous aider ?